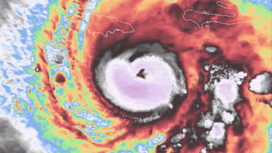
梅麗莎颶風襲擊牙買加,為 174 年來最強颶風
“我們正在見證大西洋衛星的歷史,”氣象學家邁克爾·洛瑞寫道。美國颶風中心表示,暴風有可能導致“結構全面破壞”。在遭受暴風雨襲擊的山坡和山丘上尤其如此,那裡的風速可能會增加 30%。颶風中心表示,牙買加東部部分地區可能會收到超過 750 毫米的降雨,而海地西部可能會收到 400 毫米的降雨,並稱可能會發生“災難性山洪和多處山體滑坡”。 174 年來,牙買加從未遭遇過 4 級或以上風暴登陸。牙買加氣象局局長埃文·湯普森 (Evan Thompson) 表示,吉爾伯特颶風 1988 年襲擊該島時為 3 級風暴。伊万颶風和貝里爾颶風均為 4 級風暴,但並未登陸。牙買加洪水易發社區已下令強制疏散,巴士正在將人們運送到安全避難所。週一,一名漁民在牙買加舊港綁紮船隻,為颶風梅麗莎做準備。資料來源:美聯社 牙買加政府對全島開放的 880 多個避難所容納人數不足 1,000 人表示擔憂。牙買加交通部長達里爾·瓦茲 (Daryl Vaz) 表示:“這遠低於 5 級颶風的要求。”他敦促人們“保持理性……如果不這樣做,不幸的是,將會產生後果。”然而,有些人堅持留下來。 “我聽到他們在說什麼,但我不出去,”64 歲的漁民諾埃爾·弗朗西斯 (Noel Francis) 說,他住在南部小鎮舊港灣 (Old Harbour Bay) 的海灘上,他在那裡出生和長大。 “我會沒事的。”由於夜間風力增強,牙買加南部海岸的幾個城鎮已經報告停電。牙買加居民在風暴來臨前購買雜貨。資料來源:美聯社 49 歲的希辛特·懷特 (Hiacynt White) 說:“我不認為風暴會損壞我的房子。我只是擔心洪水,因為我們住的地方靠近大海。”她還表示,她不打算疏散到避難所。預計最嚴重的風暴潮將發生在牙買加西部的黑河社區,桑德拉·沃克是颶風發生前幾小時唯一在那里工作的街頭小販。 “我別無選擇,只能在這裡,”她一邊說,一邊在攤位上整理土豆、青香蕉、西紅柿和洋蔥桿。沃克是兩個孩子的單親母親,去年颶風貝里爾摧毀了她的生意和房屋後,她仍在努力康復。她住在海邊,但不打算去避難所,因為她在伊万颶風期間經歷了“可怕”的經歷,當時避難所只提供了幾罐咸牛肉可供分享。據國家颶風中心稱,颶風梅麗莎在接近牙買加時強度增強,達到五級風暴。來源:蓋蒂圖片社 多米尼加共和國有第四人失踪,另有一人仍然失踪。週末,牙買加有兩人在暴風雨前清理樹木時死亡。 “這沒什麼可玩的,”牙買加水和環境部長馬修·薩姆達說。 “準備時間已經結束了。”超過 50,000 名客戶斷電。據報導,風暴前發生了山體滑坡、樹木倒塌和電線倒塌。在古巴東部,格拉瑪省、古巴聖地亞哥省、關塔那摩省和奧爾金省收到了颶風警報,拉斯圖納斯省收到了熱帶風暴警報。預計古巴部分地區降雨量將超過 500 毫米,沿海地區還將出現嚴重風暴潮。古巴官員表示,他們正在從該地區疏散超過60萬人,其中包括該島第二大城市聖地亞哥。美聯社、彭博社 直接從我們的外國記者那裡了解世界各地的頭條新聞。訂閱我們的每周世界新聞通訊。
已发布: 2025-10-27 21:58:00
来源: www.smh.com.au










